Queensland Australia Faces Catastrophic Landfall as Cyclone Narelle Explodes into Category 5 Storm Targeting Coen With 135+ Knot Winds
QUEENSLAND, AUSTRALIA — A dangerous and rapidly intensifying tropical system, Cyclone Narelle, has strengthened into a Category 5 storm, now on a direct path toward the northern Queensland coast, with the small community of Coen potentially facing the full force of the cyclone within hours.
Meteorological data indicates wind gusts exceeding 135 knots (over 155 mph), placing this storm among the most powerful systems to threaten the region in recent years.
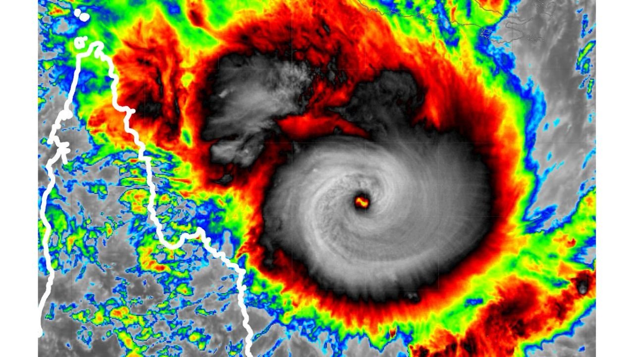
Satellite Imagery Shows Extremely Powerful Cyclone Structure
Latest satellite imagery reveals a well-defined, compact eye surrounded by intense convection, a classic signature of a high-end Category 5 cyclone.
The storm’s structure includes:
- A tight, clear eye indicating strong organization
- Deep red and black cloud tops signifying extreme intensity
- Expanding outer bands already impacting coastal areas
This level of organization suggests the cyclone is at or near peak strength as it approaches landfall, increasing the risk of widespread damage.
Coen and Cape York Region in Direct Impact Zone
The storm is expected to track into the Cape York Peninsula, with Coen (population ~320) directly in its projected path.
Given the storm’s intensity, this region could experience:
- Destructive winds capable of structural damage
- Torrential rainfall leading to flash flooding
- Potential storm surge along low-lying coastal areas
The small population and remote location add to the concern, as access to emergency services may be limited.
Extremely Dangerous Conditions Expected at Landfall
Cyclone Narelle’s projected landfall conditions are life-threatening, with impacts including:
- Sustained hurricane-force winds
- Gusts exceeding 135 knots
- Severe rainfall bands capable of rapid flooding
- Flying debris and infrastructure damage
Officials are urging residents in the affected region to complete preparations immediately, as conditions are expected to deteriorate rapidly.
Why This Cyclone Is Particularly Concerning
Several factors make this storm especially dangerous:
- Peak intensity at landfall, rather than weakening beforehand
- Compact but extremely powerful core, concentrating damage
- Remote impact zone, complicating emergency response efforts
The combination of these elements increases the likelihood of significant localized destruction, even if the broader population exposure is limited.
Urgent Warnings Issued for Northern Queensland
Authorities and meteorologists are emphasizing the urgency of the situation, particularly for communities in the storm’s path.
Residents are strongly advised to:
- Finalize emergency plans before nightfall
- Secure shelter in reinforced structures
- Avoid travel as conditions worsen
The warning is clear—this is a high-end, life-threatening cyclone event.
Final Hours Before Impact Critical for Preparation
With Cyclone Narelle approaching rapidly, the next several hours are critical for those in its path.
The storm’s intensity, combined with its direct trajectory toward Queensland’s northern coast, leaves little margin for error.
As landfall nears, all attention is now focused on how the storm interacts with land and how quickly conditions deteriorate across the Cape York Peninsula.
Stay with ChicagoMusicGuide.com for continued updates on this dangerous and evolving weather situation.
